Broward
Broward: Últimas noticias, videos y fotos de Broward
Arrestan a dos personas de una casa de empeño en Miami
Una investigación del sheriff de Broward informó que en la tienda ‘Richies’s Pawn’ vendían mercancía robada.
LO MÁS RECIENTE

Arrestan a chofer de Lyft de origen hispano bajo sospechas de asaltar sexualmente a una pasajera
Según el informe de arresto, el individuo habría atacado a su víctima mientras se encontraba en estado de ebriedad.

Deja a su hija de 3 años sola en el auto mientras va un club nudista
La menor de tres años deambulaba llorando por el estacionamiento del lugar cuando fue hallada por la policía.

Divulgan imágenes del sospechoso de asaltar un banco en Broward
El robo ocurrió el miércoles en horas de la tarde, cuando todavía había clientes en el lugar.

Niño de 6 años muere ahogado en una piscina
La tragedia ocurrió en un complejo de apartamentos del condado Broward, durante una reunión en la que había adultos y menores de edad.

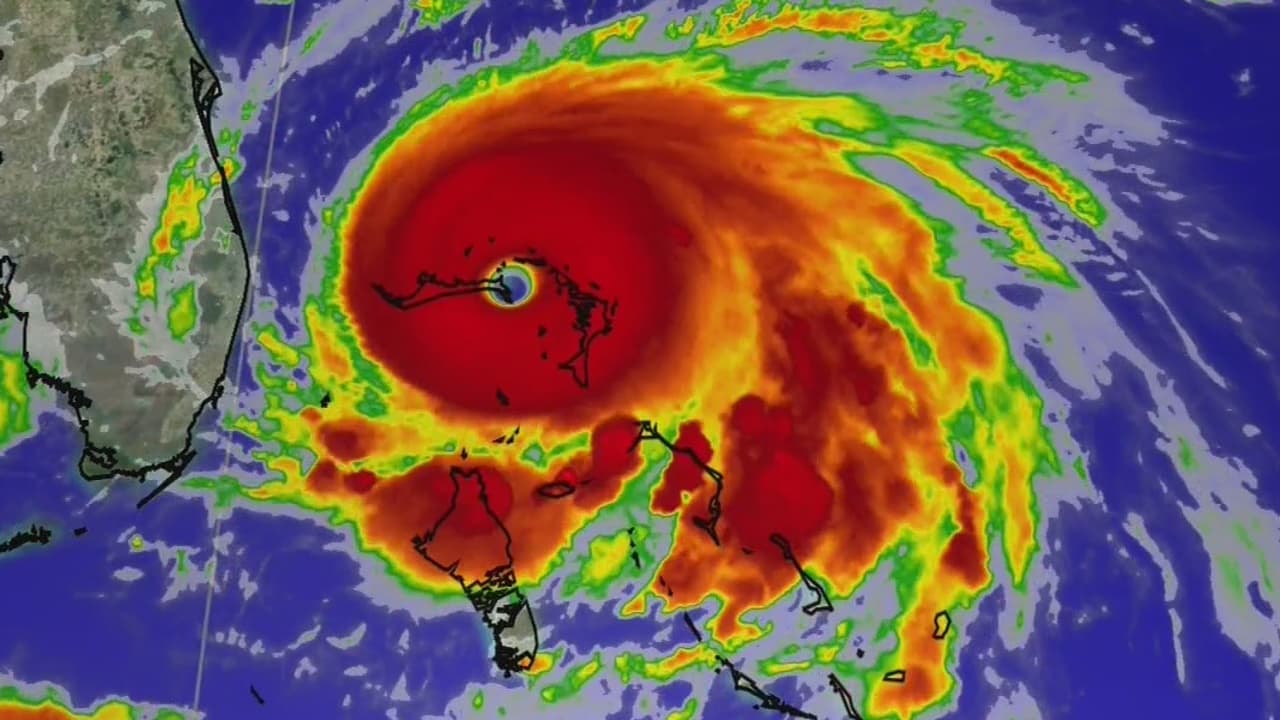
Emiten alerta de tormenta tropical para el noroeste de las Bahamas
En su boletín de las 5:00 pm el CNH informa sobre la formación de un posible ciclón tropical sobre el noroeste de las Bahamas en las próximas horas.

Detienen al peligroso reo que escapó de un hospital psiquiátrico de Broward
La policía del condado informó que John Ireland, de 33 años y origen hispano, fue arrestado en Oakland Park.








