Huracán Eta
Huracán Eta: Últimas noticias, videos y fotos de Huracán Eta
LO MÁS RECIENTE
"No he encontrado a mi hijo": el llanto de un hombre que busca entre el lodo a su familia
La situación en El Salvador por el deslave en las faldas de un volcán tiene de luto al país. Decenas de personas están desaparecidas y familiares buscan desesperados a sus seres queridos. Ocurrió en medio del paso de Eta.
Toneladas de lodo se llevan todo a su paso: los estragos de Eta en Guatemala
Decenas de personas se encuentran desaparecidas luego de que las fuertes lluvias causaran derrumbes y destrucción. Puentes colapsados, carreteras bloqueadas, servicio eléctrico destruido, desaparecidos y personas sin hogar son algunos de los problemas que dejó el fenómeno meteorológico.

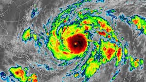
El máximo poder destructivo del huracán Eta quizás nunca se sabrá
Esta es la historia de cómo la falta de vuelos, causado por fallas mecánicas en los llamados 'caza huracanes', dejaron sin datos a los meteorólogos entre 15 y 18 horas, las más importantes porque la tormenta pudo haber alcanzado vientos máximos sostenidos de hasta 190 millas por hora.
Eta va en camino a Cuba y EEUU luego de su catastrófico paso por Centroamérica donde dejó más de cien muertos
Durante su recorrido por Nicaragua, Honduras y Guatemala causó graves inundaciones, devastadores deslizamientos de tierra y dejó miles de damnificados. Eta se encamina ahora hacia Cuba y Florida. Más información aquí.

Temen que Eta haya dejado un centenar de muertos en una pequeña localidad en Guatemala
El portavoz del Ejército Nacional indicó que en la aldea Quejá, en San Cristobal Verapáz, hay al menos 150 viviendas sepultadas por un alud de tierra ocasionado por las lluvias. Las labores de rescate se han dificultado por el difícil acceso a la zona.
Sigue estas recomendaciones para evitar posibles afectaciones causadas por Eta en el sur de Florida
Las autoridades de Miami-Dade pidieron a la comunidad inscribirse en la página web miamidade.gov/oem para recibir las alertas del departamento de emergencias. Asimismo, recordaron que hay varios lugares disponibles para que las personas reclamen gratuitamente bolsas de arena y puedan mantener a salvo las viviendas. Te contamos los detalles.

