Un video que circula en Twitter, en el que se ve a una muchedumbre en una calle, de noche, gritando y que atribuyen a las protestas que se registraron en Cuba, no es allí, sino en Buenos Aires, la capital de Argentina. Se grabó el sábado 10 de julio en la noche durante la celebración por la victoria de la selección de ese país en la final la Copa América 2021.
Video de multitud con un monumento de luz azul no pertenece a las protestas en Cuba: mira de dónde es
El video es real, pero no fue en Cuba. Lo grabaron en Buenos Aires, Argentina, durante la celebración del triunfo de su selección en la Copa América. Entérate de cómo lo descubrimos y de cómo puedes hacer tú para detectar si un video que te llega es falso, manipulado o está sacado de contexto.


El video no tiene nada que ver con las históricas protestas en Cuba de este mismo fin de semana contra el régimen, al grito de "patria y vida", "libertad", y otras exigencias, ni ocurrió en el momento en el que este usuario lo compartió.
Las imágenes están fuera de contexto porque el material es real, pero quien lo publicó lo hizo con información falsa sobre la fecha, lugar y motivación de lo que se ve en el video. El video real se grabó el sábado 10 de julio en la noche y no el domingo, el día en el que se publicó la falsedad en Twitter. Y en otra circunstancia, que fueron los festejos del triunfo de la selección argentina, y no las protestas en Cuba. (Lee aquí cómo verificamos los videos y las imágenes en El Detector).
La clave está en el Obelisco de Buenos Aires, iluminado de azul, que aparece en el video.
Fue en Buenos Aires, en el Obelisco
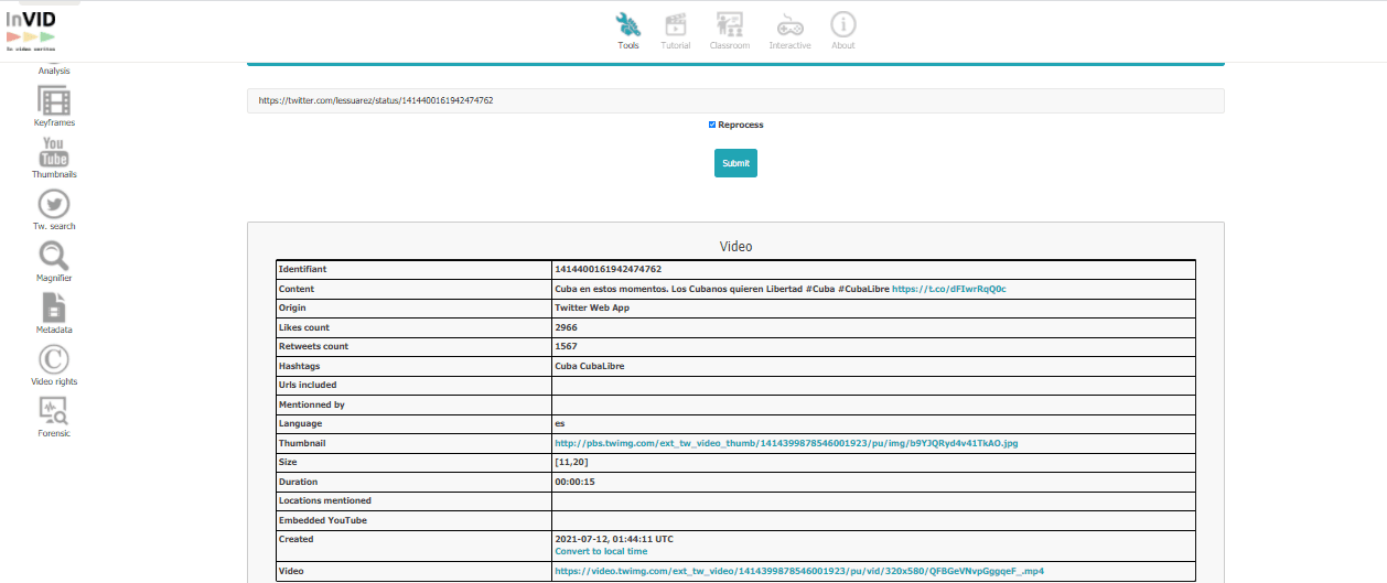
Un usuario en Twitter publicó el domingo 11 de julio, a las 8:44 pm, el video, con esta leyenda: “Cuba en estos momentos. Los Cubanos quieren Libertad”. El mensaje tiene, hasta el momento en el que publicamos esta verificación, 270,000 reproducciones, 1,661 retuits, 1,112 tuits citados y 3,183 "me gusta". Pero no es en Cuba y no corresponde a las protestas de los cubanos.
Usamos dos herramientas tecnológicas de verificación de videos e imágenes y comprobamos que las imágenes se tomaron en Buenos Aires, Argentina, la noche del sábado 10 de julio, por las celebraciones del triunfo en la Copa América. En concreto, en torno al Obelisco de Buenos Aires, que estaba iluminado en azul en su base.
También encontramos en Twitter una grabación desde el mismo punto, con otra perspectiva y desde otro ángulo, que lo demuestra.
Además, el material que circula en Twitter omite datos que podrían ayudar a la comprensión de quienes lo ven. Quien comparte no da más detalles de la hora en que se grabó para que cuando circule haya claridad y precisión de en qué momento se difundió, ni datos adicionales.
¿Cómo supimos que no es en Cuba?
Tomamos el video que circula en Twitter y que atribuyen a las protestas en Cuba y lo chequeamos con dos herramientas: InVid ( in video veritas), una plataforma que ayuda a los periodistas a verificar el contenido de las redes sociales, y la búsqueda inversa de imágenes en Google, que permite obtener resultados basados en colores, figuras o texturas de la propia imagen.
Comprobamos que no hay suficiente información de dónde se originó el video o la primera fecha en la que se difundió, pero un cuadro específico (una fotografía), distinto al resto de las imágenes, muestra un monumento iluminado de azul desde abajo, que existe en Buenos Aires y no en Cuba: el Obelisco.

En InVid no hay mayores detalles del video (ubicación en que se originó o fecha), solo datos del usuario que lo publicó. En esa misma herramienta separamos el video por fotogramas claves, es decir fotografías específicas del video.

Del cuarto cuadro - donde aparece un monumento iluminado de azul, que es un punto distinto al resto de las imágenes donde solo se ve la muchedumbre de personas y una calle - hicimos una búsqueda inversa de Google. Todas las referencias son del Obelisco de Buenos Aires. Con la misma luz azul en la base (algunas de hace un día), por la celebración en esa ciudad del triunfo de la selección de Argentina en la Copa América 2021, el 10 de julio en la noche.

Para reconfirmar que la multitud estaba en el Obelisco de Buenos Aires, como arrojó la búsqueda inversa de imágenes en Google, buscamos en Twitter publicaciones multimedia (video y fotos) con las palabras: Obelisco Copa América. Aparecen videos desde distintos ángulos donde se ve el Obelisco iluminado de azul.
Encontramos también un hilo de Twitter con videos y fotos de la celebración en Buenos Aires del usuario Juan Manuel @asenjo88 - un productor de radio asentado en esa ciudad, según indica su bio en esta red social - del 10 de julio a las 10:36 pm. La secuencia de mensajes corresponde al triunfo de la selección argentina.
Todos los videos del productor muestran un enfoque diferente del mismo punto que se ve en el video y el mensaje que aquí verificamos y que dice falsamente que fue en Cuba. Observamos la misma muchedumbre de personas, la calle con edificios y pantallas luminosas, vimos completa una pantalla roja que en el video de la desinformación se ve de forma lateral, del lado izquierdo. Y está la coincidencia del monumento iluminado en azul que, insistimos, está en Buenos Aires, Argentina, y no en Cuba.
En resumen, el video no es en Cuba, no corresponde a las protestas en la isla y el material que se ha compartió tantas veces omite datos que podrían ayudar a la comprensión de quienes lo ven.
¿Cómo puedes verificar los videos e imágenes tú mismo?
En medio de protestas como las de Cuba seguramente circularán muchos videos e imágenes por redes y no todos serán confiables.
Desde El Detector te ofrecemos recomendaciones para verificar videos e imágenes:
- Puedes usar InVid. Google Chrome tiene una extensión de esta plataforma que permite verificar el contenido de las redes sociales. El uso de esta herramienta es muy intuitivo porque permite copiar la dirección del video en una pestaña de análisis. También detalla fotogramas claves (fotografías específicas del video), amplificación de las imágenes para detectar detalles y más. Los creadores de la plataforma hicieron este tutorial.
- Otra herramienta sencilla para verificar imágenes en su origen y por coincidencia es la búsqueda inversa de imágenes en Google. En Google, ingresa a la búsqueda inversa de imágenes, carga la foto que te hayan compartido o copia el link y da clik en buscar imágenes. También puedes usar el Google Lens (en la cámara) que traen los teléfonos celulares.
- La Red Internacional de Periodistas (IJNET, por sus siglas en inglés) compartió nueve herramientas para verificar imágenes y videos, que puedes chequear aquí.
- Si te interesa seguir los acontecimientos en Cuba, puedes seguir la recomendación de la periodista Catalina Lobo Guerrero sobre medios y activistas confiables que estés bien informado.
Recomiendo seguir las cuentas de los siguientes medios y proyectos de periodismo cubanos @invntario @periodibarrio @eltoquecom @rev_elestornudo @YucaByte @TremendanotaC @diariodecuba @14ymedio y @JimenezEnoa @Luz_Cuba @barbaramaseda @yoanisanchez @EspirituCarlos @elainediaz2003
— Catalina Lobo-Guerrero (@clobo_guerrero) July 12, 2021
Conclusión
En Twitter corre un video que atribuyen a Cuba y las protestas que se registran en ese país desde este domingo 11 de julio. El video es real, pero es falso que sea en Cuba, por eso en El Detector usamos la etiqueta "fuera de contexto". Las imágenes corresponden a la celebración del 10 de julio en la noche, en Buenos Aires, Argentina, del triunfo de la selección de ese país en la Copa América 2021, en concreto, en torno al Obelisco de esa ciudad (iluminado en azul y blanco), un emblema de la capital argentina que no está en Cuba. Lo verificamos con las herramientas tecnológicas InVid, la búsqueda inversa de imágenes en Google y en la búsqueda de otras imágenes del mismo festejo en Twitter.
Fuentes
Univision Noticias. Temas Cuba.
Univision Noticias. Esto es lo que debes saber sobre las protestas de este domingo contra el régimen en Cuba.
Univision Austin. ¡Maracanazo 2021! Argentina se queda con la Copa América.
Consejo de redacción. InVid, descubre la verdad detrás de los videos de Facebook y YouTube.
Buenos Aires ciudad. Obelisco.
Twitter @Asenjo88. Simplemente InMESSionante.
You Tube. Videos falsos para desacreditar las noticias, por InVid.
Google Lens. Busca lo que ves.
Red Internacional de Periodistas. Acerca de.
Red Internacional de Periodistas. Nueve herramientas para verificar imágenes y videos.
Univision Noticias. Conoce a Lupita, el personaje que te ayudará a detectar noticias falsas.
Univision Noticias. 10 claves para detectar noticias falsas.
Esta verificación se hizo con el apoyo de la Chan Zuckerberg Initiative y Google News Initiative.
¿Viste algún error o imprecisión? Ayúdanos a corregirlo. También queremos leer si hay algún mensaje o imagen que quieres que verifiquemos. Escríbenos a eldetector@univision.net
Aquí te contamos sobre nuestra metodología y política de corrección.


















