Key West
Key West: Últimas noticias, videos y fotos de Key West
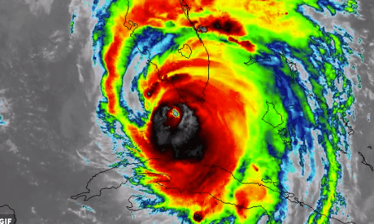
El monstruo Irma se traga los pequeños Cayos de la Florida
A 20 millas al oeste de Key West tocó tierra el huracán categoría 4 con vientos máximos sostenidos de 130 millas por hora. El ojo de este descomunal huracán ya es mucho mayor que el conjunto de todas estas diminutas islas.
LO MÁS RECIENTE
En video: Las inundaciones por el paso del huracán Irma en Key West, Florida
En las imágenes se observa cómo la marejada ciclónica inundó lo que sería un muelle en el cayo. El ojo del huracán Irma ya llegó a los cayos de Florida con vientos máximos sostenidos de 130 millas por hora (210 km/h).
Habitante de Key West que no evacuó: "Estamos esperando a ver si se calma, a ver si pasa"
Ileana Sánchez es una de las personas que decidió no evacuar Key West a pesar de las advertencias de las autoridades. Se encuentra con al menos tres personas más, y asegura que tomaron las medidas necesarias para soportar el fenómeno.
En bus, así evacúan a residentes y turistas en Cayo Hueso ante la amenaza del huracán Irma
Varias personas han sido trasladadas de Cayo Hueso (Key West) hasta Miami y a los refugios en la Universidad Internacional de Florida, aunque algunos decidieron quedarse pese a la advertencia de evacuación obligatoria.
Residentes de los Cayos de Florida se preparan para evacuar sus viviendas por la llegada de Irma
Los habitantes de Key West, en el condado de Monroe, recibieron una orden de evacuación ante el avance del poderoso huracán Irma, de categoría 5.
Distrito de control de Cayo Hueso explora nuevos métodos para combatir al mosquito del zika
Cerca de 20,000 insectos infectados por la bacteria fueron soltados en Key West y, según estudios, estos mosquitos son estériles, no pican y no sobreviven a la adultez.
21 balseros cubanos han llegado en las primeras horas del 2017
Los balseros cubanos han intensificado su intento de alcanzar las costas de los Estados Unidos por vía marítima antes del 20 de enero, cuando Donald Trump asuma la presidencia.
