Dorian se mueve hacia el norte de Bahamas, mientras se advierte fuerte oleaje para Palm Beach
Según el Centro Nacional de Huracanes, en su reporte para las 8:00 pm de este sábado, el fenómeno continúa siendo categoría 4 y podría aumentar su intensidad. Se mantiene la vigilancia de tormenta tropical hasta las 5:00 pm del próximo martes, desde este condado hacia el norte, lo que implica marea peligrosa.
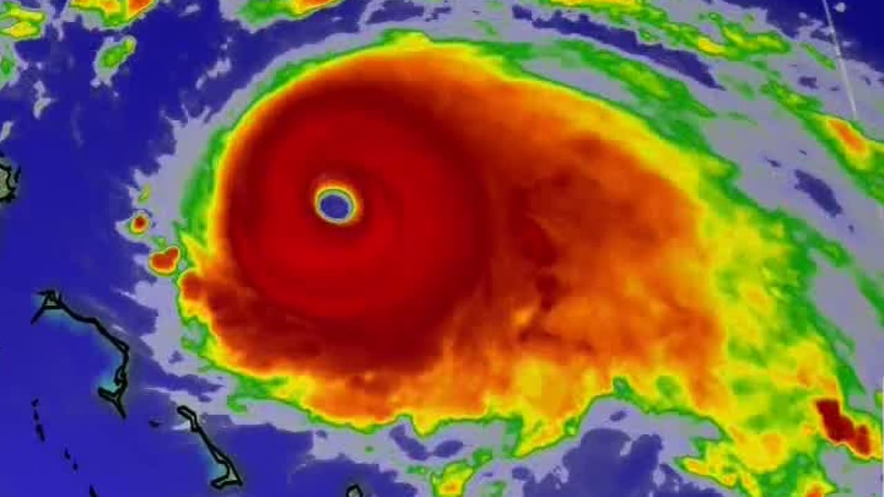
Dorian se mueve hacia el norte de Bahamas, mientras se advierte fuerte oleaje para Palm Beach
Según el Centro Nacional de Huracanes, en su reporte para las 8:00 pm de este sábado, el fenómeno continúa siendo categoría 4 y podría aumentar su intensidad. Se mantiene la vigilancia de tormenta tropical hasta las 5:00 pm del próximo martes, desde este condado hacia el norte, lo que implica marea peligrosa.