In photos: Hurricane Harvey batters the Texas coast
Harvey continues to move through Texas on Saturday, now downgraded to a Category 1. The storm hit the Texas coast late Friday as a powerful Category 4 before weakening. The big fear now is flooding. Harvey is the first Category 4 storm to strike the U.S. since Hurricane Charley in 2004.
Road signs in Corpus Christi. Harvey is the first Category 4 storm to strike the U.S. since
Hurricane Charley in 2004.
Reuters
PUBLICIDAD
2/27
Harvey’s center made landfall just before 10 pm CDT about 4 miles east of Rockport, population 10,000. There were reports of "numerous structures destroyed" and "buildings that collapsed with people trapped inside."
Univision
PUBLICIDAD
3/27
A man walks through the wind and rain in Corpus Christi. The scale of damage won't be known until later Saturday.
Reuters
PUBLICIDAD
4/27
Rain driven by 130 mph winds hit Corpus Christie, which was close to the eye of Harvey.
Eric Gay/Ap
PUBLICIDAD
5/27
Corpus Christie
Joe Raedle/Getty Images
PUBLICIDAD
6/27
Trees downed in Corpus Christi. Power was out throughout the city.
Joe Raedle/Getty Images
PUBLICIDAD
7/27
In the hours before the eye of Harvey reached land some residnets braved conditions to take photos. Some
20,000 vacationers are stranded on cruise ships due to the closure of the port of Galveston where they were supposed to disembark this weekend.
Reuters
PUBLICIDAD
8/27
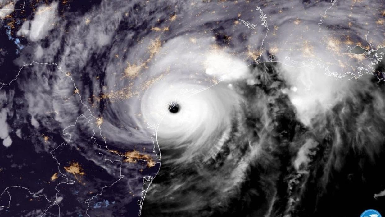
A satellite image of Harvey. GOES-16 geocolor image of Harvey making landfall in Texas at 8 pm CDT August 25, 2017. Image credit:
NOAA Satellites
PUBLICIDAD
9/27
The Texas coast near Corpus Christi on Friday night as Harvey approached.
MARK RALSTON/Getty Images
PUBLICIDAD
10/27
Harvey announces his arrival on the coast at Corpus Christi.
Joe Raedle/Getty Images
PUBLICIDAD
11/27
Category 4 winds made driving conditions impossibly dangerous.
Ap
PUBLICIDAD
12/27
The pickup of Craig "Cajun" Uggen, 57, was stranded in flood waters in Corpus Christi.
Monica Burgos took refuge from Harvey at the Good Samaritan Rescue Mission in Corpus Christi.
Joe Raedle/Getty Images
PUBLICIDAD
15/27
Downed traffic lights.
Reuters
PUBLICIDAD
16/27
A refinery in Corpus Christi. The oil industry said it was ready for the storm.
Joe Raedle/Getty Images
PUBLICIDAD
17/27
David Burkhardt has a coffee waiting for Harvey in his garage in Portland, Texas. Some people stayed home despite warnings by local authorities to evacuate flood zones.
Nick Wagner/Ap
PUBLICIDAD
18/27
Wind and rain in Corpus Christi, the largest city in the path of Harvey with 300,000 residents.
MARK RALSTON/Getty Images
PUBLICIDAD
19/27
Residents of Corpus Christi wait to be evacuated to San Antonio, about 140 miles northeast.
Nick Wagner/Ap
PUBLICIDAD
20/27
A woman on Galveston island, south of Houston, Texas.
Ap
PUBLICIDAD
21/27
Ramón López and Arturo Villarreal put up wodden sheets over a store in Galveston, Texas.
Ap
PUBLICIDAD
22/27
Food shelves in a Walmart, Houston, Texas.
Joe Raedle/Getty Images
PUBLICIDAD
23/27
Sand bags in Corpus Christi.
Joe Raedle/Getty Images
PUBLICIDAD
24/27
Lacey Williams steps over sand bags outside her home in Houston.
Steve Gonzales/Houston Chronicle via AP
PUBLICIDAD
25/27
Port Isabel is closed to shipping until further notice.
Jason Hoekema/The Brownsville Herald via AP
PUBLICIDAD
26/27
Mauro Eligio shutters his store with plywood. on the Southside of Corpus Christi.
Rachel Denny Clow/Corpus Christi Caller-Times via AP