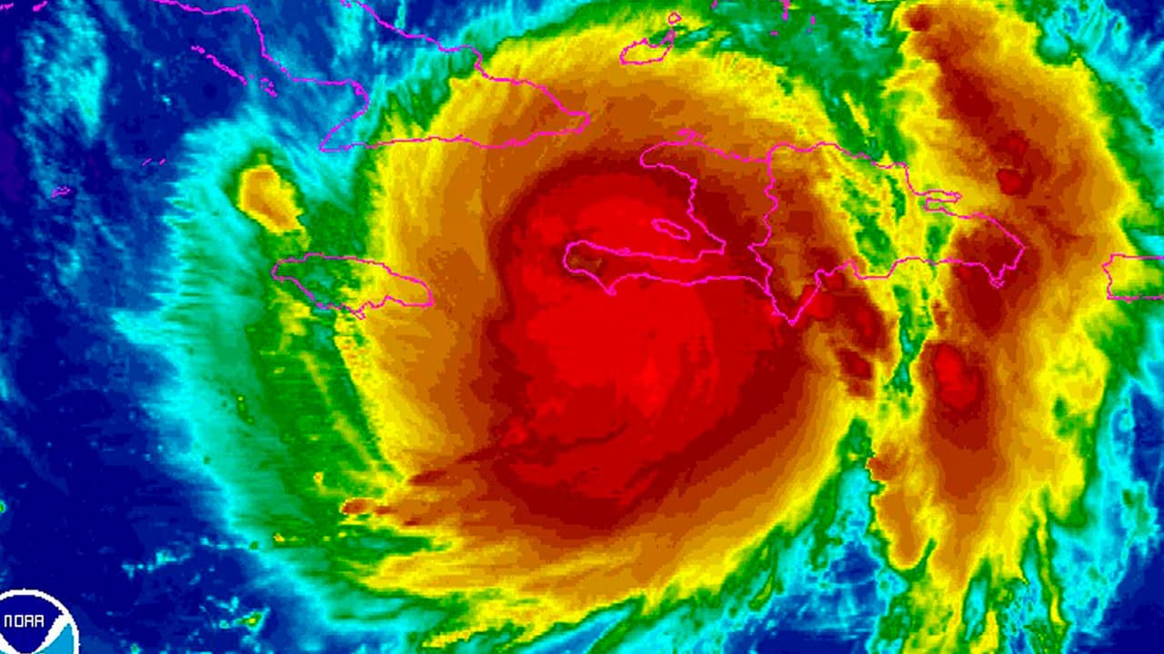
El huracán se ha mantenido por muchos días en la categoría 4 y 5, actualmente está a punto de cruzar al norte de Cuba y se espera que para el jueves pueda tocar el Condado Dade, Broward, sur de Miami y la costa Este de Estados Unidos.
El huracán se ha mantenido por muchos días en la categoría 4 y 5, actualmente está a punto de cruzar al norte de Cuba y se espera que para el jueves pueda tocar el Condado Dade, Broward, sur de Miami y la costa Este de Estados Unidos.