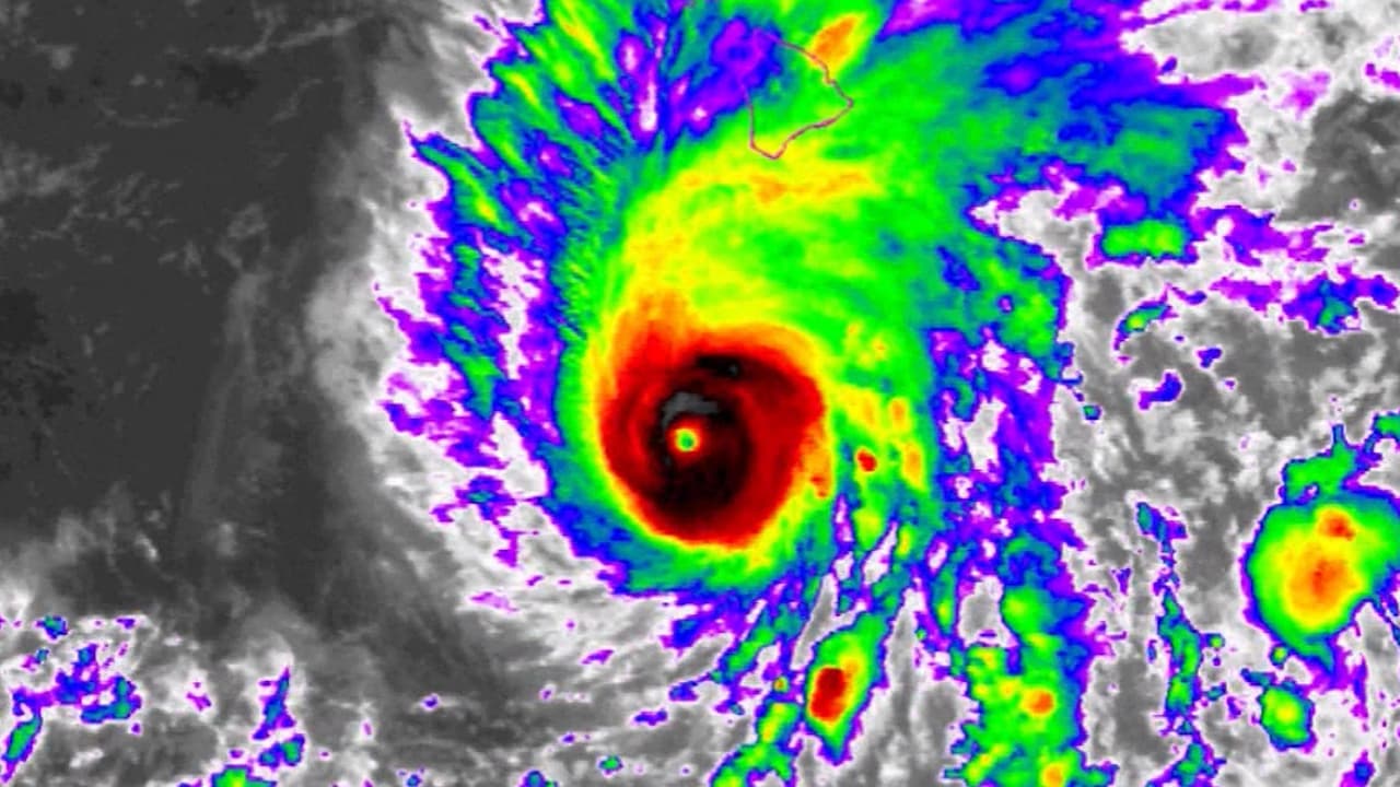
En un minuto: el huracán Lane amenaza a Hawaii, el primero en casi 30 años
En otras noticias, escala la guerra comercial entre China y Estados Unidos con más aranceles; dos personas mueren en un ataque con cuchillo cerca de París y México propondrá a la ONU la despenalización de las drogas.
En un minuto: el huracán Lane amenaza a Hawaii, el primero en casi 30 años
En otras noticias, escala la guerra comercial entre China y Estados Unidos con más aranceles; dos personas mueren en un ataque con cuchillo cerca de París y México propondrá a la ONU la despenalización de las drogas.