Alerta en Hawaii ante el errático huracán Lane: así se ve desde el espacio
Con vientos máximos sostenidos de 160 mph, Lane fue elevado a categoría 5 a medida que avanzaba hacia el oeste a través del Océano Pacífico hacia la Isla Grande.
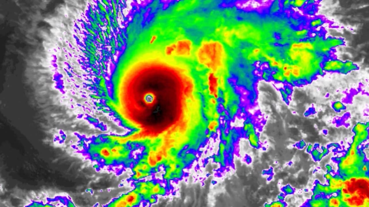
Alerta en Hawaii ante el errático huracán Lane: así se ve desde el espacio
Con vientos máximos sostenidos de 160 mph, Lane fue elevado a categoría 5 a medida que avanzaba hacia el oeste a través del Océano Pacífico hacia la Isla Grande.