PUBLICIDAD

Te mostramos la trayectoria del huracán Helene: amenaza a Florida con vientos destructivos y marejadas

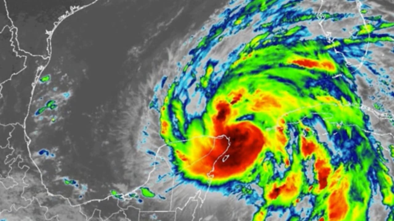
Helene se convirtió en huracán este miércoles mientras avanza hacia las costas de Florida, donde podría tocar tierra como huracán de categoría 3 la noche del jueves. Jessica Delgado, meteoróloga de Univision, explica que lo preocupante de este sistema es que "su campo de viento será enorme". Al menos 39 millones de personas están bajo alerta. No dejes de ver: Huracán Helene: emiten órdenes de evacuación obligatorias en zonas de Florida ante el inminente impacto.
N+ Univision picture
Publicado el 25 sept 24 - 12:46 PM EDT. Actualizado el 25 sept 24 - 02:44 PM EDT.
Chiquis: Sin Filtro
¿Quieres ver todo el catálogo de contenidos?
ir a ViX
PUBLICIDAD
Chiquis: Sin Filtro
¿Quieres ver todo el catálogo de contenidos?
ir a ViX