En un minuto: Franklin se convierte en el primer huracán de la temporada en el Atlántico
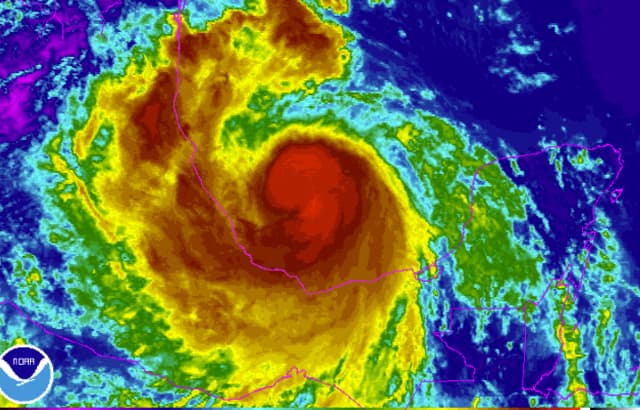
El sistema cruzó la península de Yucatán sin causar víctimas ni daños graves, pero se espera que sea mayor su segundo impacto en tierras mexicanas tras recuperar fuerzas en el Golfo de México. Además, EEUU sancionó al cantante Julión Álvarez y al futbolista Rafael Márquez por su relación con el narco en México. Y una ciudad en EEUU celebró un festival de 'videos de gatos'.
En un minuto: Franklin se convierte en el primer huracán de la temporada en el Atlántico
El sistema cruzó la península de Yucatán sin causar víctimas ni daños graves, pero se espera que sea mayor su segundo impacto en tierras mexicanas tras recuperar fuerzas en el Golfo de México. Además, EEUU sancionó al cantante Julión Álvarez y al futbolista Rafael Márquez por su relación con el narco en México. Y una ciudad en EEUU celebró un festival de 'videos de gatos'.