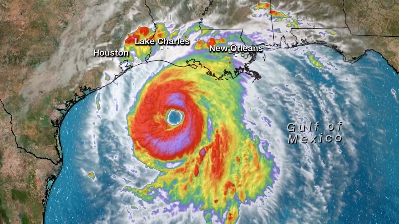
“No salgan, quédense en la casa”: Bomberos se preparan para la llegada del huracán Laura
Gabe Domínguez, del Departamento de Bomberos de Houston recomienda a la comunidad seguir las instrucciones de las autoridades, no salir y en caso de hacerlo, tener mucho cuidado donde pisa. Agregó que están listos para ayudar a la ciudadanía durante el embate del huracán Laura.
“No salgan, quédense en la casa”: Bomberos se preparan para la llegada del huracán Laura
Gabe Domínguez, del Departamento de Bomberos de Houston recomienda a la comunidad seguir las instrucciones de las autoridades, no salir y en caso de hacerlo, tener mucho cuidado donde pisa. Agregó que están listos para ayudar a la ciudadanía durante el embate del huracán Laura.