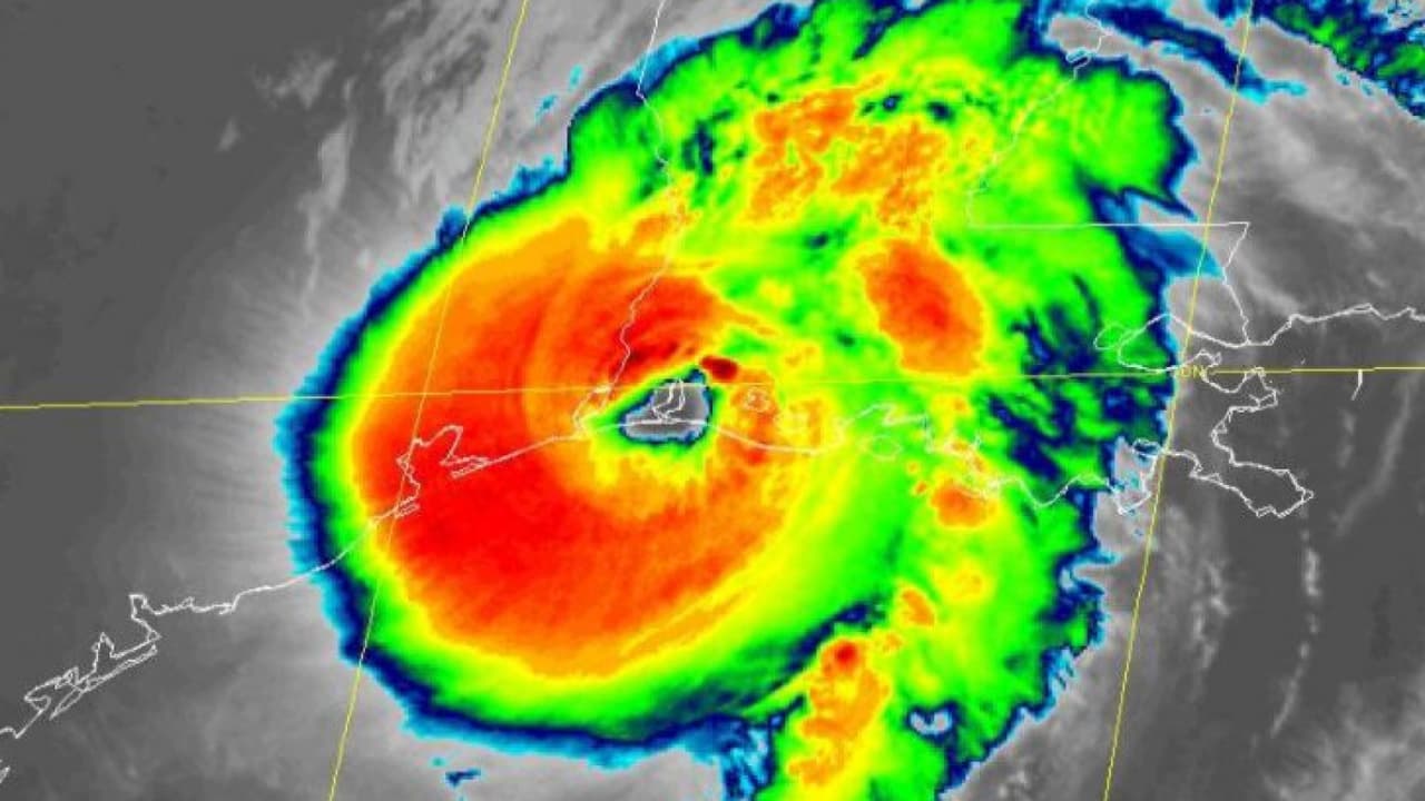
Laura toca tierra cerca de Cameron, Louisiana, como un huracán categoría 4
El Centro Nacional de Huracanes confirmó que el sistema tocó tierra a la 1:00 am de este jueves en el área de Cameron con vientos sostenidos de 150 mph. Se esperan daños catastróficos debido a la marejada ciclónica y los fuertes vientos. En el este de Houston y Galveston está vigente un aviso de tormenta tropical.
Laura toca tierra cerca de Cameron, Louisiana, como un huracán categoría 4
El Centro Nacional de Huracanes confirmó que el sistema tocó tierra a la 1:00 am de este jueves en el área de Cameron con vientos sostenidos de 150 mph. Se esperan daños catastróficos debido a la marejada ciclónica y los fuertes vientos. En el este de Houston y Galveston está vigente un aviso de tormenta tropical.