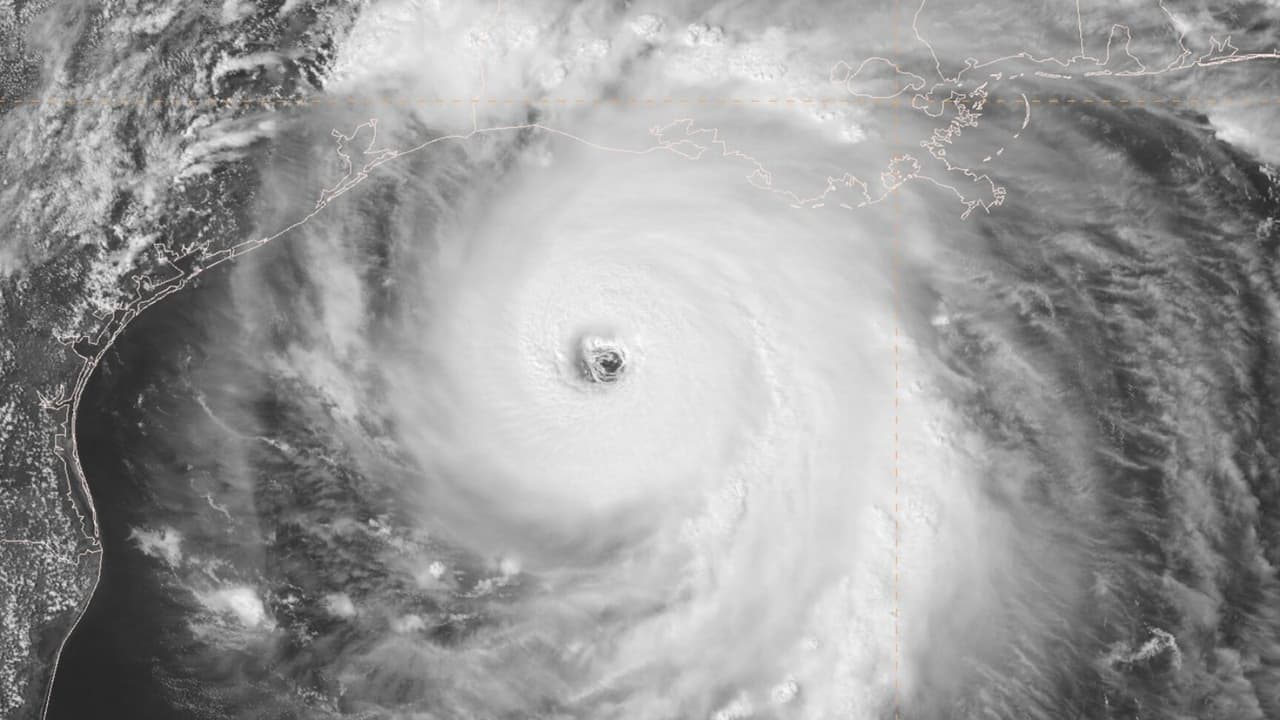
El huracán Laura, de categoría 4, aumenta sus vientos sostenidos a 145 mph en su rumbo hacia EEUU
El reporte de las 4:00 pm del Centro Nacional de Huracanes indica que este sistema avanza hacia las costas de Luisiana y Texas con ráfagas de hasta 175 mph. El huracán ya tiene un ojo definido y se espera que siga moviéndose con rapidez.
El huracán Laura, de categoría 4, aumenta sus vientos sostenidos a 145 mph en su rumbo hacia EEUU
El reporte de las 4:00 pm del Centro Nacional de Huracanes indica que este sistema avanza hacia las costas de Luisiana y Texas con ráfagas de hasta 175 mph. El huracán ya tiene un ojo definido y se espera que siga moviéndose con rapidez.