Por Diego Jemio @djemio desde Buenos Aires
Dengue en Argentina: lo que ocultan los números
Médicos y especialistas señalan un brote preocupante en Buenos Aires, que concentra casi la mitad de la población del país. Los datos oficiales y la situación sanitaria en las “villas”.

Existe un famoso chiste en el mundo de las matemáticas. Dice que los reportes de resultados son como los trajes de baño: lo que muestran es importante, pero lo que ocultan puede serlo incluso más. En los meses de verano, la situación del dengue en la Argentina es similar a la de aquella broma de economistas.
Según los primeros datos publicados por el Ministerio de Salud de la Nación, durante enero y febrero se registraron 7,786 casos; el 93.3% de las personas se infectaron en sus casas o viviendas cercanas. Es decir, son “autóctonos”. En lo que va de marzo, las autoridades señalan que ya suman, al menos, 20,000 casos, de acuerdo con el Sistema Nacional de Vigilancia de la Salud y al Sistema de Vigilancia Epidemiológica por Laboratorios.
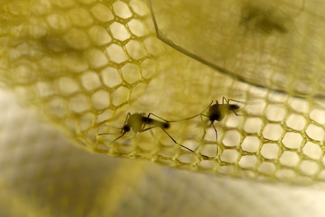
Eso es lo que los números oficiales muestran. Claro, que siempre ocultan algo. Las provincias tropicales del Litoral argentino son las más afectadas por el Aedes aegypti, el mosquito portador del virus. Y hay un rebrote en la Ciudad de Buenos Aires y alrededores. En mayo del año pasado, cuando la noticia no estaba en los diarios, Aníbal Mariano Aristizabal, médico del Hospital Fiorito del partido de Avellaneda, alertó con una carta abierta sobre la enfermedad y sobre el silencio de las autoridades. El hospital donde trabaja tiene un gran afluente de pacientes del sur de la ciudad y el conurbano bonaerense.

“Hay un subregistro terrible. En mi hospital, confirmamos unos 80 casos y los datos del ministerio hablan de solo 300 en la provincia de Buenos Aires. ¡Es imposible! Por lo menos, ahora están reconociendo la problemática aunque sea de manera fragmentada; años atrás, ni siquiera lo hacían y ocultaban la información sobre los casos autóctonos. Ningún gobierno -provincial o nacional- se está tomando en serio la política de urbanización y sanitarización. Hablo de las cloacas, el agua potable y el pavimento de las calles. Las villas (barrios marginados) se reproducen cada vez más ¿Cómo pretenden que en esas condiciones no se instale el vector del dengue?”, manifestó.
La punta del iceberg
El dengue no es nuevo en la Argentina. Se registran casos compatibles con la enfermedad desde 1916, aunque el virus se descubrió en la década de 1950. En esta nueva epidemia la principal preocupación es su instalación en la provincia de Buenos Aires, que concentra casi la mitad de la población del país. La atención está puesta en villas y regiones carenciadas. Los especialistas creen que el escenario epidemiológico y clínico es complejo, teniendo en cuenta que marzo y abril son los meses críticos; existen posibilidades de alcanzar el pico histórico de la enfermedad de 2009.
“Estamos viendo la punta del iceberg -agrega Aristizabal- durante este año. Si se instala en Buenos Aires, en tres o cinco años tendremos reinfecciones con distintas cepas de dengue. En ese nuevo escenario, serán más frecuentes los casos de dengue hemorrágico, que tienen una mortalidad de hasta el 70%. Si no cambian la situación sanitaria actual, la gente se va a morir como pajaritos”.
En 2009, la epidemia de dengue registró 28,700 casos, cinco de los cuales fueron fatales, según datos oficiales. Todo indica que este año la cifra aumentará, con un incremento en el número de casos autóctonos en la ciudad y el conurbano bonaerense. Se registró sólo una muerte en la provincia de Misiones y no aparecieron casos de dengue hemorrágico severo. Para Jorge Yabkowski, presidente de la Federación de Asociaciones Sindicales de Profesionales de la Salud de la Argentina, la discusión de los números es estéril si no se atacan los problemas de fondo.
“Es una obviedad, pero hay que decirla: el dengue no ataca igual a los ricos que a los pobres. Tienen otras condiciones habitacionales, posibilidades de acceso a la protección y a los repelentes, que no son baratos. También hay un factor climático importante. Buenos Aires se tropicalizó más; en el verano hizo mucho calor y hubo inundaciones que trajeron más espejos de agua y desarrollo del mosquito. El Ministerio de Salud es una cabeza sin pies ni manos; no existen acciones sanitarias efectivas. Cuando hay una epidemia, se necesita promover a los agentes sanitarios y no usar sólo spots publicitarios. Muchos de esos empleados claves fueron despedidos en el norte por este gobierno”.
El desamparo de las “villas”
Aysa es una empresa del Estado en un 90% de su paquete accionario. Encargada de suministrar de agua y cloacas a la ciudad de Buenos Aires y parte de su área metropolitana, tiene un contrato que la obliga a prestar el servicio sólo a los usuarios cuya vivienda linde con una vía pública. Los pasillos internos de los barrios precarios -un gran laberinto de casas, calles y pasajes en el que viven miles de familias- quedan exentos de una prestación básica de los servicios públicos.

Maria Eva Koutsovitis es ingeniera hidráulica, prosecretaria del Departamento de Hidráulica de la Universidad de Buenos Aires y tiene un trabajo de campo en las villas de la ciudad, junto al Frente Territorial Salvador Herrera. Cuando le preguntan qué se
hizo desde el Estado para mejorar el acceso al agua desde 2009 -año del último brote epidémico de dengue- a la fecha, su respuesta es contundente: “Nada. Y la situación empeoró aún más”.
“Entre un quinto y un sexto de la población de la ciudad vive en villas. Son unas 400 mil personas, que la empresa no considera como usuarios. ¿Qué sucede entonces con el agua? Se van tendiendo precariamente mangueras y redes cloacales. Y tampoco hay desagues fluviales. Cada vez que llueve, se inundan las casas y pasillos con agua mezcladas con residuos cloacales”, contó.
A veces, ni siquiera las mangueras precarias tienen agua. Y los vecinos se ven obligados a caminar largas distancias en busca de agua, que almacenan en baldes y cacharros. “ El Gobierno dice que hay que evitar el 'cacharreo'. ¿Cómo hace esta gente si no sale agua de sus grifos? En las villas cercanas a la cuenca del Riachuelo (uno de los más contaminados del mundo), los habitantes también tiene plomo en sangre por los suelos contaminados”, analizó.
En Paraguay, ya son seis los muertos por casos de dengue. Uruguay se enorgullecía de ser el único país de la región sin dengue, pero el mes pasado confirmaron el primer caso autóctono. Brasil, el país con más experiencia en el tema, anunció una “guerra biológica” contra el mosquito e inversiones millonarias en el desarrollo de una vacuna. Con números que muestran y ocultan, Argentina da una batalla errática contra la enfermedad. El dengue es la punta del iceberg, decía un especialista con sabiduría.
Lea también:









